Enquête door Stad Lier

Enquête: Hoe ervaar jij het verkeer in Tuinweg?

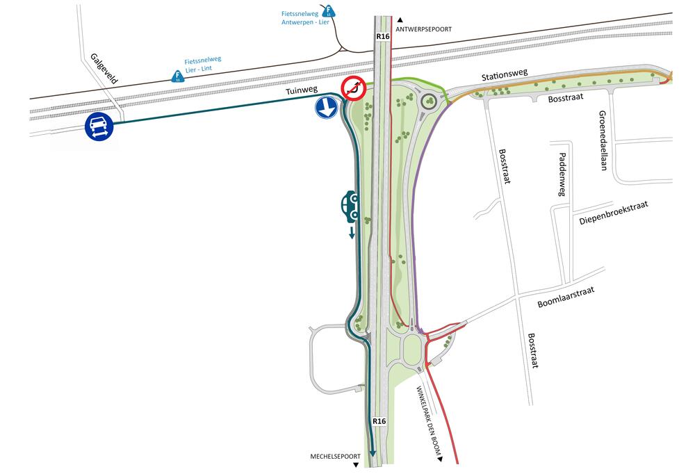
Sinds afgelopen zomer kan je vlotter van de Ring (R16) naar het station en terug met de wagen rijden en fietsen langs de ovonde, rotonde en de nieuwe Stationsweg. De nieuwe weg moet zorgen voor een betere en veiligere organisatie van het verkeer van en naar het station. Op dinsdag 8 juli 2025 plaatsten we paaltjes in Tuinweg om sluipverkeer in de richting van de nieuwe ontsluitingsweg naar het station en naar de Ring te vermijden. Na een proefperiode van een half jaar bekijken we graag samen met jou als buurtbewoner hoe dit loopt.

Meer info over de paaltjes in de Tuinweg vind je hier.

Startdatum 26 februari 2026
Einddatum 22 maart 2026
7 vragen

1. Mijn straat is: * verplicht

selecteer er maar één

2. Mijn huisnummer is:

3. Sinds er paaltjes in de Tuinweg staan, is deze straat aangenamer en leefbaarder geworden. * verplicht

Sinds er paaltjes in de Tuinweg staan, is deze straat aangenamer en leefbaarder geworden.
Sinds er paaltjes in de Tuinweg staan, is deze straat aangenamer en leefbaarder geworden.
Helemaal niet akkoord Helemaal akkoord

4. Sinds er paaltjes in de Tuinweg staan, is er minder sluipverkeer in deze straat. * verplicht

Sinds er paaltjes in de Tuinweg staan, is er minder sluipverkeer in deze straat.
Sinds er paaltjes in de Tuinweg staan, is er minder sluipverkeer in deze straat.
Helemaal niet akkoord Helemaal akkoord

5. Sinds er paaltjes in de Tuinweg staan, is het veiliger om mij te verplaatsen in deze straat. * verplicht

Sinds er paaltjes in de Tuinweg staan, is het veiliger om mij te verplaatsen in deze straat.
Sinds er paaltjes in de Tuinweg staan, is het veiliger om mij te verplaatsen in deze straat.
Helemaal niet akkoord Helemaal akkoord

6. De paaltjes in Tuinweg moeten blijven staan. * verplicht

Opgelet: als de paaltjes verdwijnen, dan kan je vanuit Tuinweg wel in de richting van de nieuwe weg rijden met de wagen, maar enkel naar rechts, en zo de Ring op in de richting van Mechelsesteenweg. Vanuit Tuinweg mag je voor je eigen veiligheid met de wagen niet naar links rijden, en kan je dus niet rechtstreeks via de nieuwe weg naar het station.

survey image
De paaltjes in Tuinweg moeten blijven staan.
De paaltjes in Tuinweg moeten blijven staan.
Helemaal niet akkoord Helemaal akkoord

7. Heb je nog suggesties of opmerkingen?

Klaar met invullen?
arrow_upward